160x600
20 November, 2025, Thursday
DOLAR 42.2631
EURO 49.0719
ALTIN 5726.6

Doğu Karadenizin korkulu rüyası Vampir kelebekler yeniden ortaya çıktı

  • Yazdır
  • A
    Yazı Tipi
  • Yorumlar
Doğu Karadenizin korkulu rüyası Vampir kelebekler yeniden ortaya çıktı
Abone ol
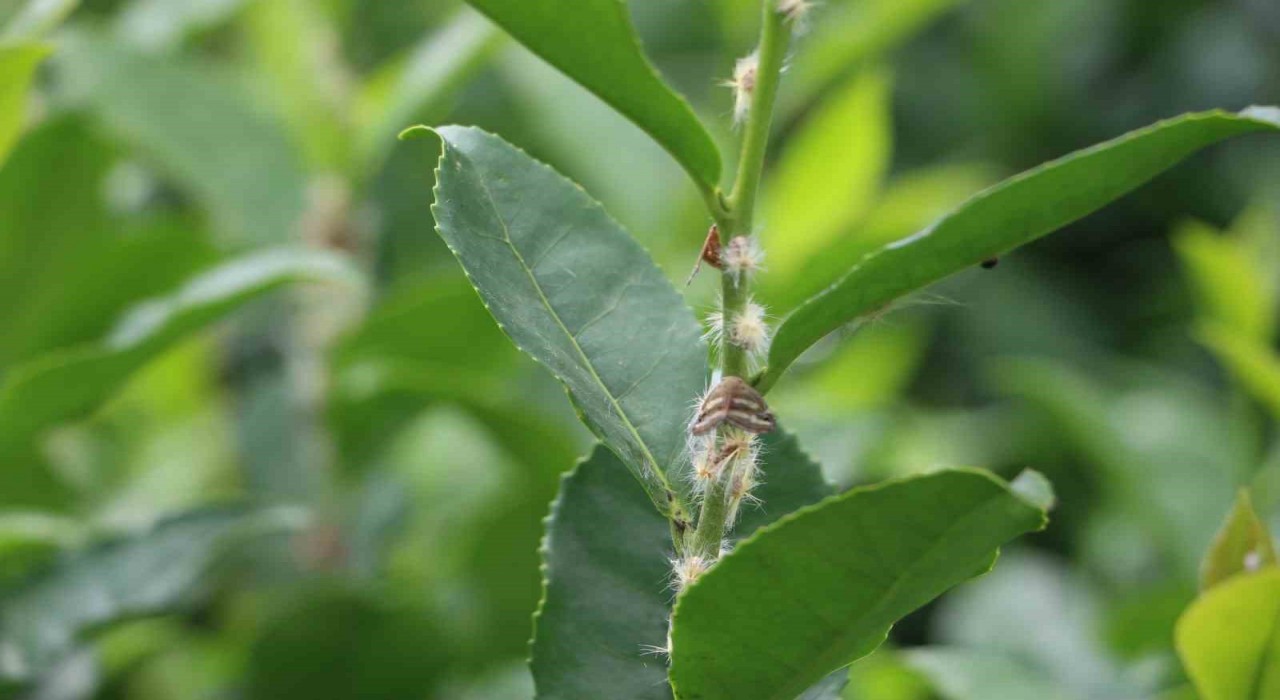
Doğu Karadeniz Bölgesi'nde Tarım Arazilerinde Ilk Kez 2008 Yılında Görülen Bitkilerin özsuyunu Emdiği Için 'vampir Kelebek' Olarak Adlandırılan Ricania Simulans, Bu Yaz Sıcaklıkların Artması Ile Yeniden Kendini Göstermeye Başladı

Doğu Karadeniz Bölgesi’nde tarım arazilerinde ilk kez 2008 yılında görülen bitkilerin özsuyunu emdiği için ’Vampir Kelebek’ olarak adlandırılan Ricania Simulans, son gnülerde sıcaklıkların artması ile yeniden kendini göstermeye başladı.

Rize’de yeşil bitkilerin özünü emdiği için ’vampir kelebek’ olarak adlandırılan ve çiftçilerin kabusu haline gelen Ricania Simulans’ın yumurtlama dönemi olan Temmuz ayında, bıraktığı yumurtalar Ağustos ayında kelebeğe dönüşünce bitkilere ciddi anlamda zarar veriyor.

Rize’nin Çayeli ilçesinde yaşayan Adnan Cengiz isimli vatandaş vampir kelebeklerin çay başta olmak üzere tüm bitkilere zarar verdiğini söyledi. Cengiz "Karadeniz bölgesinde Rize Çayeli’nde bu kelebek haddinden fazla türedi. Sizin de gördüğünüz gibi salatalıkları, fasulyeleri ve meyveleri tamamen kuruttu. Tarım Bakanımız bunun için bilhassa bu kelebekler için şikâyetçiyiz. Gece evde oturamıyoruz, gece kapılara ve pençelere çıkamıyoruz. Her taraf kelebek dolu bundan biz rahatsızız ne olacak bilmiyoruz. Karadeniz bölgesini bu kelebekler tamamen sardı. Rahatsız oluyoruz hiç meyve ve çay kalmadı. Bas baya bizi rahatsız ediyor. Buna büyüklerimiz bir el atsa da bunlardan bizi kurtarsınlar" dedi.

Örgü İpliği

  • 0
    SEVDİM
  • 0
    ALKIŞ
  • 0
    KOMİK
  • 0
    İNANILMAZ
  • 0
    ÜZGÜN
  • 0
    KIZGIN
Bakan Göktaş: Roman vatandaşlarımıza yönelik faaliyetlerimizin sahada etkisini artırmak için yerelleşmeye özel önem veriyoruz Önceki Haber

Bakan Göktaş: Roman vatandaşlarımıza yön...

Kütahyada domates ve biber fidesi kontrolleri Sonraki Haber

Kütahyada domates ve biber fidesi kontro...

Haber Yorum Üstü

Yorum Yazın

Başka haber bulunmuyor!

Ana Sayfa
Web TV
Foto Galeri
Yazarlar